क्या है ट्रॉपिकल साइक्लोन ? क्या इंसानों पर पड़ता है इसका असर
Published by : Saurabh Poddar Updated At : 06 Dec 2023 3:32 PM
ट्रॉपिकल साइक्लोन इक्वेटर आसपास 5° से 30° पर आते हैं, लेकिन दुनिया में वे कहां बनते हैं, इसके आधार पर उनके अलग-अलग नाम भी होते हैं. ट्रॉपिकल साइक्लोन शुरुआत में पश्चिम की और थोड़ा पोल्स की ओर बढ़ते रहते हैं.

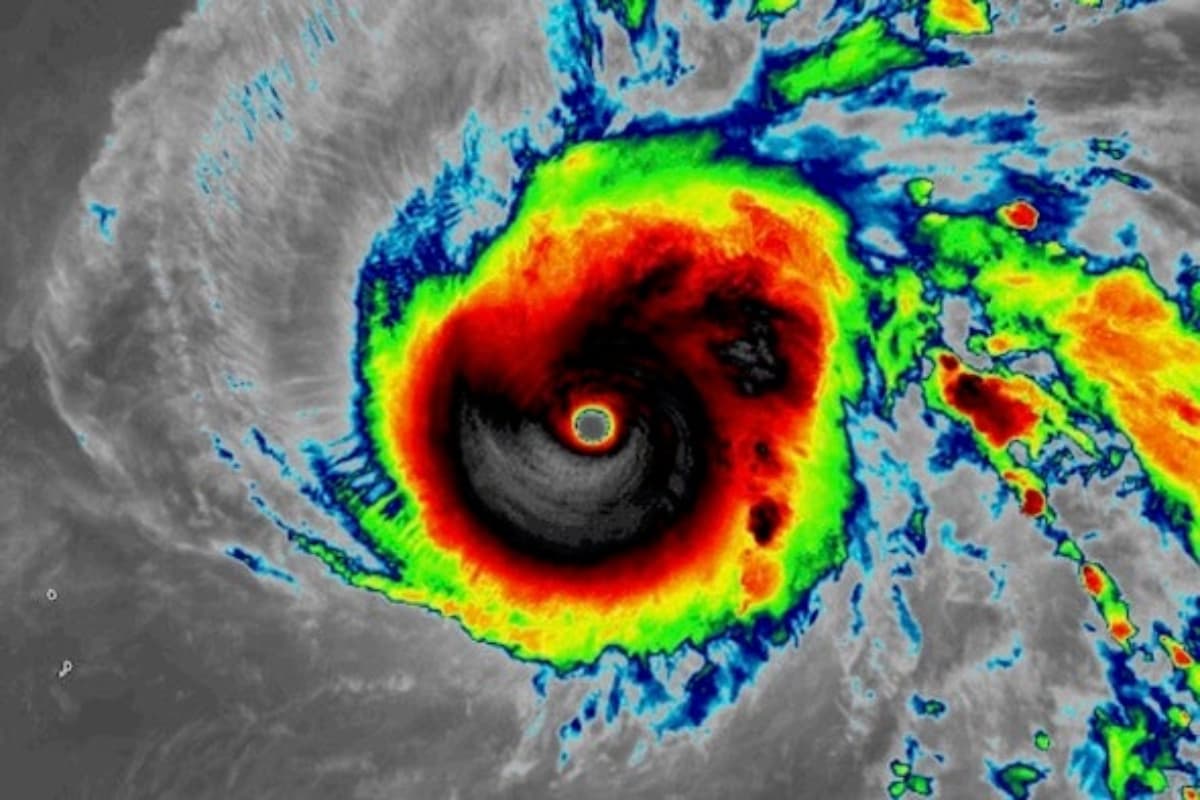
Tropical Cyclone: ट्रॉपिकल साइक्लोन, जिन्हें टाइफून या तूफान के रूप में भी जाना जाता है, सबसे विनाशकारी मौसम घटनाओं में से हैं. वे तेज सर्कुलर तूफान हैं जो गर्म ट्रॉपिकल महासागरों से उत्पन्न होते हैं, और इनमें अधिकतम निरंतर हवा की स्पीड 119 किलोमीटर प्रति घंटे से अधिक होती है जिस वजह से भारी बारिश होती है.

कहां दिखते हैं ट्रॉपिकल साइक्लोन: ट्रॉपिकल साइक्लोन इक्वेटर आसपास 5° से 30° पर आते हैं, लेकिन दुनिया में वे कहां बनते हैं, इसके आधार पर उनके अलग-अलग नाम भी होते हैं. ट्रॉपिकल साइक्लोन शुरुआत में पश्चिम की ओर (पूर्वी हवाओं की वजह से) और थोड़ा पोल्स की ओर बढ़ते रहते हैं.

क्यों कहे जाते हैं ट्रॉपिकल साइक्लोन: चेतावनी संदेशों में तूफानों की त्वरित पहचान में मदद करने के लिए तूफानों (ट्रॉपिकल साइक्लोन) का नामकरण करने की प्रथा वर्षों पहले शुरू हुई थी क्योंकि ऐसा माना जाता है कि संख्याओं और तकनीकी शब्दों की तुलना में नामों को याद रखना कहीं अधिक आसान है.

ट्रॉपिकल साइक्लोन बनने के 5 कारण
27°C से ज्यादा तापमान वाली बड़ी समुद्री सतह
कोरिओलिस फाॅर्स की उपस्थिति
वर्टीकल विंड के स्पीड में छोटे बदलाव
पहले से मौजूद कमजोर निम्न दबाव क्षेत्र या निम्न स्तर का चक्रवाती सर्कुलेशन
समुद्र तल प्रणाली के ऊपर ऊपरी विचलन.

क्या है साइक्लोन: हवाओं की कोई भी बड़ी प्रणाली जो भूमध्य रेखा के उत्तर में वामावर्त दिशा में और दक्षिण में दक्षिणावर्त दिशा में कम वायुमंडलीय दबाव के केंद्र के चारों ओर घूमती है.

ट्रॉपिकल साइक्लोन के कारण और प्रभाव क्या हैं?: चक्रवात कम दबाव वाले क्षेत्रों में भारी वर्षा के साथ आने वाले तूफान हैं. वे समुद्र की सतह पर गर्म हवा के बढ़ने की निरंतर प्रक्रिया के कारण होते हैं. इस खाली जगह पर आसपास की ठंडी हवा कब्जा कर लेती है, जो और गर्म होकर ऊपर उठती है.

चक्रवातों का कारण क्या है?: चक्रवात महासागरों के ट्रॉपिकल इलाकों में गर्म पानी के ऊपर डेवलप होते हैं जहां सूर्य द्वारा गर्म होने वाली हवा के कारण बहुत कम दबाव के क्षेत्र बनते हैं. इससे हवा बहुत तेज़ी से ऊपर उठती है और नमी से संतृप्त हो जाती है जो सैचुरेटेड होकर बड़े गरज वाले बादलों में बदल जाती है.

चक्रवात मनुष्यों को कैसे प्रभावित करते हैं?: उनमें कई अलग-अलग खतरे शामिल हैं जो व्यक्तिगत रूप से जीवन और संपत्ति पर महत्वपूर्ण प्रभाव डाल सकते हैं, जैसे तूफान, बाढ़, अत्यधिक हवाएं, बवंडर और लाइटिंग. संयुक्त रूप से, ये खतरे एक-दूसरे के साथ परस्पर क्रिया करते हैं और जीवन और भौतिक क्षति की संभावना को काफी हद तक बढ़ा देते हैं.

ट्रॉपिकल साइक्लोन पर्यावरण को कैसे प्रभावित करता है?: ट्रॉपिकल साइक्लोन जंगल की कैनोपी को हटा देते हैं और साथ ही रेत के टीलों को हिलाकर और नया आकार देकर और तट के साथ व्यापक कटाव करके तटीय क्षेत्रों के पास के परिदृश्य को बदल देते हैं. यहां तक कि अंतर्देशीय क्षेत्र में भी भारी वर्षा से पर्वतीय क्षेत्रों में भूस्खलन हो सकता है.
प्रभात खबर डिजिटल टॉप स्टोरी
Prabhat Khabar App :
देश, एजुकेशन, मनोरंजन, बिजनेस अपडेट, धर्म, क्रिकेट, राशिफल की ताजा खबरें पढ़ें यहां. रोजाना की ब्रेकिंग हिंदी न्यूज और लाइव न्यूज कवरेज के लिए डाउनलोड करिए










